Villa a schiera d'angolo in vendita

Dueville, Via C. B. Cavour - Povolaro
Informazioni in agenzia
4 locali 4 locali
112 Mq 112 Mq
2 bagni 2 bagni

Villa a schiera d'angolo in vendita

Dueville, Via C. B. Cavour - Povolaro

Descrizione annuncio

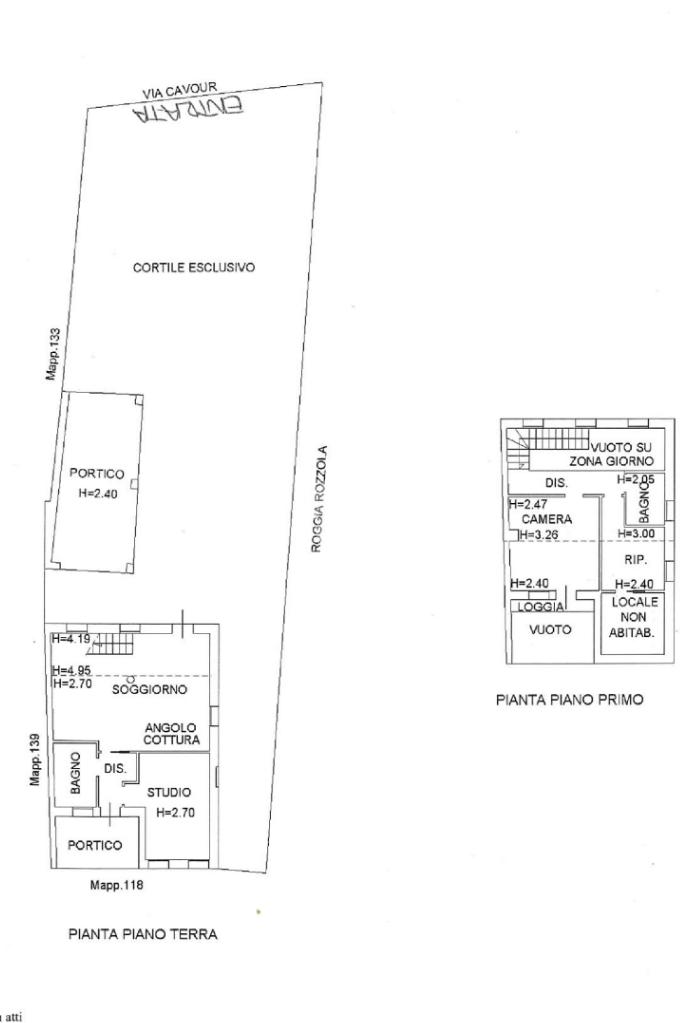
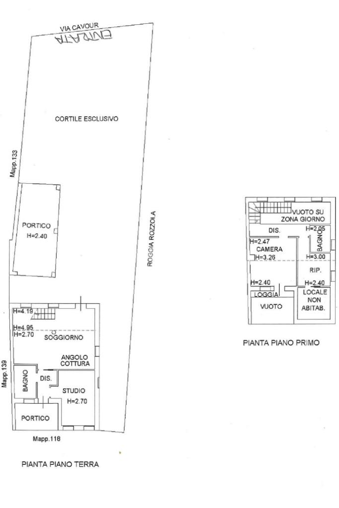
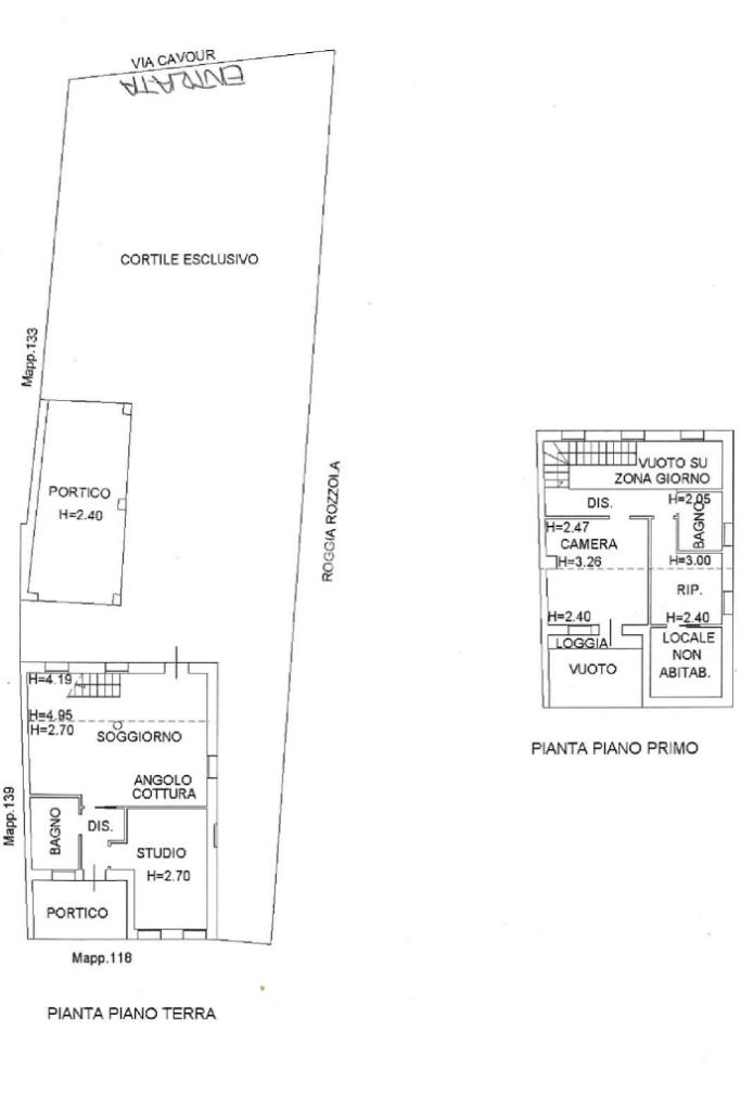
Situata nella tranquilla località di Povolaro, nel comune di Dueville, questa villetta affiancata d'angolo offre un'opportunità unica per chi cerca una residenza signorile.

Con una superficie di 112 mq, la proprietà si sviluppa su due piani e comprende una zona giorno con angolo cottura, una camera da letto, due bagni, un locale adibito a studio ed un'ulteriore locale ripostiglio.

Un ampio giardino circonda la casa su tre lati, offrendo uno spazio ideale per il relax all'aperto. L'immobile dispone di un portico da usufruire come posto auto garantendo comodità e praticità.

Costruita nel 1967, è stata completamente ristrutturata nel 2005. Tuttavia, a seguito di un incendio nel 2018, la casa necessita di una nuova completa ristrutturazione, offrendo la possibilità di personalizzare gli interni secondo i propri gusti.

La posizione in una zona di campagna assicura un ambiente sereno, mentre il ricovero attrezzi nella parte posteriore dell'abitazione, aggiunge funzionalità alla proprietà.

ATTENZIONE: LA SECONDA FOTO E' STATA MODIFICATA CON AI (INTELLIGENZA ARTIFICIALE) PER AVERE UN'IDEA DELL'IMMOBILE RISTRUTTURATO.

Per ulteriori informazioni contattateci in Agenzia e seguiteci su Facebook , cliccando 'mi piace' sulla pagina Ag. Tecnocasa Dueville ed Instagram. Scaricate gratuitamente l'App. Tecnocasa sul vostro smartphone e sarete sempre aggiornati sulle nostre proposte di vendita.

Mostra tutto

Nelle vicinanze

Trasporto pubblico Trasporto pubblico
Dueville
Dueville
3,0 Km
Povolaro
Povolaro
910 m
Passo di Riva
Passo di Riva
1,5 Km
Ricariche auto elettriche Ricariche auto elettriche
NaturaSì La Decima Bio Dinamico Dueville BeCharge
1,1 Km
Scuole Scuole
Scuole
1,1 Km
Scuola primaria San Giovanni Bosco
1,1 Km
Scuola Primaria Sebastiano Tecchio
2,3 Km
Scuola primaria Sebastiano Tecchio
2,3 Km
Farmacia Farmacia
Farmacia Dott.ssa De Rogatis
1,0 Km
Farmacia Passo di Riva
1,3 Km
Farmacia Dueville
2,8 Km
Supermercati Supermercati
Aliper
1,2 Km
Crai
1,4 Km
Belmarket
2,5 Km
A&O
2,6 Km
Negozi Negozi
LIO'
2,7 Km
Panificio dai Fornari
2,7 Km
Panetteria Lorenzato
2,8 Km
Spaccio Formaggi e Salumi
2,9 Km
Bar Bar
Birreria "La Cricca"
780 m
Pasticceria Eros
1,0 Km
Bar
2,1 Km
Locanda 47
2,3 Km
Bar Trattoria Risorta
2,5 Km
Ristoranti Ristoranti
Bar Trattoria Vecchio Astico
1,5 Km
Lino's Pizza
1,6 Km
La Colombara
2,2 Km
Pizzeria Alle fornaci
2,2 Km
Bar Trattoria 008
2,7 Km
Mostra tutto

Caratteristiche

Rif.:
61103485
Piano:
Terra di 2
Totale piani:
2
Box:
1
Posti auto:
2
Terrazzi:
1
Mostra tutto
Prezzo Prezzo
Informazioni in agenzia
Spese annue Spese annue
€ 0
Proponi il tuo prezzoProponi il tuo prezzo

Classe Energetica

G
G
G
G
G
G
G
G
G
EP globale non rinnovabile:
325.50 kW h/m² anno
EP invernale del fabbricato:
EP estiva del fabbricato:
Anno di costruzione:
1967
Riscaldamento:
Autonomo
Tipo impianto:
A radiatori
Tipo alimentazione:
Metano

Ti interessa visionare l'immobile?

Fissa un appuntamento  Fissa un appuntamento

Richiedi informazioni

* Questi campi sono obbligatori
Affiliato
Studio Dueville Srl
Via G.Rossi, 43 36031 Dueville (VI)

Il nostro staff


  • Greta Baghin
    Affiliata

  • Anna Tessarollo
    Coordinatrice
Via G.Rossi, 43 36031 Dueville (VI)
Zona: Dueville-Passo di Riva-Povolaro-Vivaro
Mostra su mappa
Affiliato
Studio Dueville Srl
Via G.Rossi, 43 36031 Dueville (VI)

2025 Tecnocasa Franchising S.p.A. - P. IVA 08365160152 - Via Monte Bianco 60/A 20089 Rozzano (MI). Ogni agenzia ha un proprio titolare ed è autonoma. Privacy policy | Policy utilizzo | Cookie policy